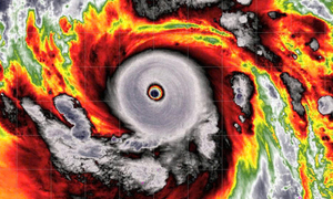
Chiều 20-7, bão số 3 mạnh thêm, lên cấp 12 (118-133 km/giờ), giật cấp 15, cách Quảng Ninh - Hải Phòng 630 km.
Theo Trung tâm Dự báo khí tượng thủy văn quốc gia, vào lúc 13 giờ ngày 20-7, vị trí tâm bão số 3 (bão Wipha) ở vị trí 21,9 độ Vĩ Bắc - 113,4 độ Kinh Đông, trên vùng biển phía Bắc khu vực Bắc Biển Đông, cách Quảng Ninh - Hải Phòng khoảng 630 km về phía Đông. Sức gió mạnh nhất gần tâm bão cấp 12 (118-133 km/giờ), giật cấp 15. Bão di chuyển theo hướng Tây với tốc độ 20-25 km/giờ.
Bão số 3 mạnh lên cấp 12, giật cấp 15, sóng cao 7 m trên Biển Đông
Đến 13 giờ ngày 21-7, tâm bão ở khoảng 20,8 độ Vĩ Bắc - 108,9 độ Kinh Đông, trên vùng biển phía Đông khu vực Bắc vịnh Bắc Bộ. Cường độ cấp 11–12, giật cấp 15.
Đến 13 giờ ngày 22-7, tâm bão số 3 ở vào khoảng 20,2 độ Vĩ Bắc - 106,6 độ Kinh Đông, trên vùng ven biển Quảng Ninh - Thanh Hoá. Cường độ cấp 10-11, giật cấp 14.
Sau đó, bão suy yếu dần thành vùng áp thấp nhiệt đới trên khu vực Thượng Lào vào ngày 23-7.
Bão số 3 mạnh lên cấp 12, giật cấp 15, tàu thuyền cần nhanh chóng vào bờ an toàn
Trước tình hình bão số 3 mạnh lên cấp 12, giật cấp 15, Trung tâm Dự báo khí tượng thủy văn quốc gia cảnh báo vùng biển phía Bắc khu vực Bắc Biển Đông có gió mạnh cấp 8-10, vùng gần tâm bão cấp 11-12, giật cấp 15. Sóng cao 5-7 m, biển động dữ dội.
Bắc vịnh Bắc Bộ (Bạch Long Vĩ, Cô Tô, Cát Hải, Hòn Dấu) có gió mạnh cấp 6-7, tăng lên cấp 8-9, vùng gần tâm bão cấp 10-11, giật cấp 14. Sóng cao 3-5 m.
Nam vịnh Bắc Bộ (Hòn Ngư) có gió mạnh cấp 6-7, vùng gần tâm bão cấp 8-9, giật cấp 11. Sóng cao 2-4 m.
Trung tâm Dự báo khí tượng thủy văn quốc gia khuyến cáo tàu thuyền hoạt động trong vùng nguy hiểm có nguy cơ cao gặp dông, lốc xoáy, gió mạnh và sóng lớn.
Vùng ven biển Hải Phòng - Quảng Ninh có nguy cơ ngập úng do nước dâng bão từ 0,5 - 1 m, tổng mực nước 4 - 5 m vào trưa và chiều 22-7.
Từ tối và đêm 21-7, ven biển từ Quảng Ninh đến Nghệ An có gió mạnh cấp 7-9, gần tâm bão cấp 10-11, giật cấp 14. Trong đất liền gió cấp 6-7, giật cấp 8-9.
Do ảnh hưởng của bão từ 21 đến 23-7, khu vực Đông Bắc, đồng bằng Bắc Bộ, Thanh Hoá, Nghệ An mưa to đến rất to (200-350 mm, có nơi trên 600 mm). Bắc Bộ và Hà Tĩnh mưa vừa, mưa to (100-200 mm, có nơi trên 300 mm). Cảnh báo nguy cơ mưa cường suất lớn trên 150 mm/3 giờ.
Theo Báo NLĐ




